Vòng quanh thế giới

Bão Helene nguy hiểm nhất lịch sử chuẩn bị đổ bộ

Minh Ngọc

Dự báo khi bão Helene đổ bộ sẽ gây ra nhiều biến động thời tiết, không loại trừ khả năng gây ra sóng thần cho Mỹ.

Bão Helene nguy hiểm nhất lịch sử chuẩn bị đổ bộ Ảnh 2

Thông báo mới nhất từ Trung tâm Bão quốc gia Mỹ (NHC) cho biết, bão Helene đang mạnh lên nhanh chóng khi áp sát nước Mỹ. Theo nhiều chuyên gia nhận định, đây là một trong những cơn bão nguy hiểm nhất trong lịch sử gần đây đổ bộ vào bờ biển Florida.

NHC cho biết, bão Helene được ghi nhận có sức gió mạnh liên tục là 215km/giờ vào tối 26/9 (giờ địa phương). Theo dự báo, bão Helene sẽ đổ bộ vào đất liền vào khoảng 23 giờ ngày 26/9 (giờ địa phương, tức khoảng 10 giờ ngày 27/9 giờ Việt Nam) tại khu vực Big Bend của Florida.

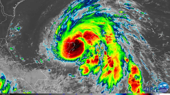
Hình ảnh vệ tinh về cơn bão Helene đang mạnh lên khi đi vào Vịnh Mexico ngày 25/9. (Ảnh: RAMMB)
Hình ảnh vệ tinh về cơn bão Helene đang mạnh lên khi đi vào Vịnh Mexico ngày 25/9. (Ảnh: RAMMB)

Bão Helene mạnh lên nhanh chóng trên vùng biển Vịnh Mexico. Đến chiều 26/9 (giờ địa phương), bão Helene đã phát triển thành bão cấp 3 ở vùng biển Vịnh Mexico. Đến giữa trưa 26/9 (giờ địa phương), cơn bão cách Tampa khoảng 320 km về phía tây nam và di chuyển với tốc độ 26 km/h. Đến tối 26/9 (giờ địa phương), bão Helene đã mạnh lên cấp 4 khi tiến vào Vịnh Florida, trở thành cơn bão mạnh nhất trong năm nay ở Mỹ.

Cơn bão dự kiến ​​sẽ di chuyển lên bờ biển phía đông nam sau khi đổ bộ, đi từ Florida lên North Carolina. Georgia, South Carolina và North Carolina cũng đã được ban bố tình trạng khẩn cấp.

Dự báo khi bão Helene đổ bộ sẽ gây ra nhiều biến động thời tiết, không loại trừ khả năng gây ra sóng thần, dâng cao 4,5 - 6 m tại khu vực Big Bend thuộc vùng Panhandle của Florida.

Tính đến hiện tại, hàng nghìn cư dân ở bang Florida đã phải sơ tán bởi đe dọa như mưa lớn, gió mạnh và ngập lụt. Hàng loạt trường học đã thông báo đóng cửa. 

Người dân đang lấp đầy các bao cát trước khi bão đổ bộ vào Big Bend hôm 25/9. (Ảnh: Reuters)
Người dân đang lấp đầy các bao cát trước khi bão đổ bộ vào Big Bend hôm 25/9. (Ảnh: Reuters)

Bên cạnh đó, sân bay quốc tế Tampa tại Florida bắt đầu tạm dừng hoạt động từ 2h sáng 26/9 (theo giờ địa phương). Một số sân bay khác gần đó như: Peter O. Knight, Tampa Executive và Plant City cũng đã đóng cửa cùng ngày để tránh bão.

Trước đó ngày 24/9, Tổng thống Mỹ Joe Biden đã yêu cầu sự hỗ trợ từ liên bang để giúp giới chức địa phương Florida chuẩn bị đối phó với bão Helene.

Vào ngày 23/9, Thống đốc Florida Ron DeSantis cũng đã ban bố tình trạng khẩn cấp tại 41 quận, sau đó mở rộng lệnh cảnh báo ở 20 quận nữa, nâng tổng số quận trong tình trạng khẩn cấp lên 61 để chuẩn bị khi bão Helene đổ bộ.

Một con phố ngập lụt trong trận mưa do bão Helene gây ra ở Mexico hôm 25/9 theo giờ địa phương. (Ảnh: Paola Chiomante/Reuters)
Một con phố ngập lụt trong trận mưa do bão Helene gây ra ở Mexico hôm 25/9 theo giờ địa phương. (Ảnh: Paola Chiomante/Reuters)
Chia sẻ FacebookChia sẻ

Bài viết

Minh Ngọc

ĐƯỢC QUAN TÂM

TIN MỚI